Nemovitosti
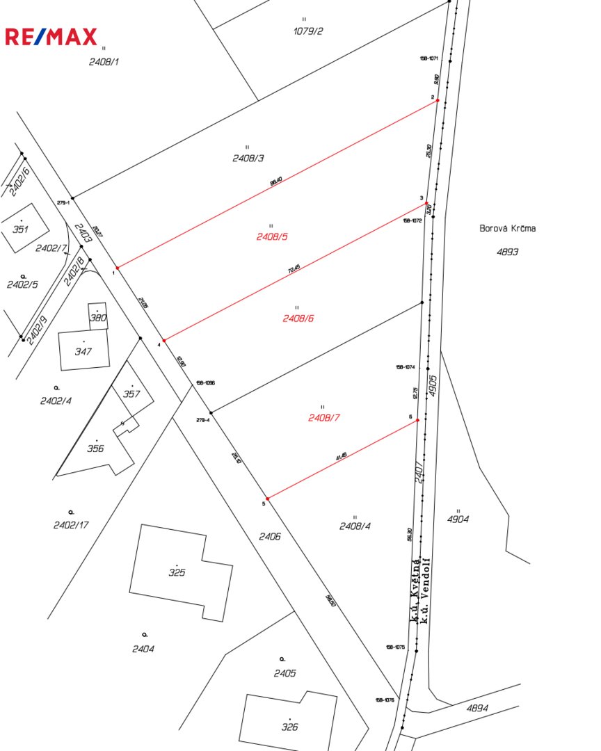
Prodej stavebního pozemku 1 246 m² Květná
Finanční kalkulačka
Líbí se Vám tato nemovitost, ale nemáte v současné době dostatek finančních prostředků? Rádi Vám poskytneme možnost financování.
Částka: Kč | Úrok: % |
Doba splácení: let | Měs. splátka: Kč |
Prodej stavebního pozemku 1 246 m² Květná
Nabízíme vám krásný, rovinatý stavební pozemek o rozloze 1 246 m²
v klidné části obce Květná, v oblasti Borová krčma
Pozemek je určen k výstavbě rodinného domu, a nachází se v nově se
rozvíjející oblasti plné novostaveb, kde panuje klidná atmosféra a
dostatek soukromí. Díky své poloze je ideální pro ty, kteří chtějí
žít v přírodě, ale zároveň mít město na dosah.
Dle územního plánu se na pozemku dá postavit jednopodlažní dům +
podkorví.
Voda bude na pozemek zavedena majiteli. Bude prodloužen vodovodní řád na
pozemek včetně přípojky.
Aktuálně je přístupová cesta v osobním vlastnictví, přičemž její
převod do vlastnictví města Květná je plánován na listopad 2025. Část
cesty je již vykoupena.
Elektřinu v lokalitě zajištujě ČEZ a je předjednáno zasíťování
pozemků, stačí jen vyrozumět, v jaké části pozemku bude stát Váš
nový domov. kanalizace je v plánu během 2–3 let.
Pozemek sousedí přímo s lesem, což zajišťuje nádherný výhled do
zeleně a okamžitý přístup do přírody. Vedle se rozprostírá pole,
ideální na procházky nebo venčení psů.
Díky skvělé dopravní dostupnosti jste autem za 6 minut ve Svitavách a
stejně tak v Poličce. Místo tak nabízí ideální kombinaci klidu venkova a
pohodlného dosahu městské infrastruktury. V současné době probíhá
stavba D35, která po vybudování velmi urychlí dopravní dostupnost.
Pokud hledáte pozemek pro výstavbu vysněného domu, který vám poskytne
soukromí, klid a zároveň dobré spojení do města, tato nabídka je přesně
pro vás.
Pokud vás nabídka zaujala, neváhejte se ozvat. Rádi vám poskytneme více
informací a domluvíme osobní prohlídku.
















